A visit to Cairns

Cairns
Python
pyinaturalist
Folium
Autores/as

José R. Ferrer-Paris

Ada Sánchez-Mercado

Fecha de publicación

5 de noviembre de 2025

Fecha de última modificación

20 de noviembre de 2025

A summary of my iNaturalist observations during our visit to Cairns.

Load Python modules

import pandas as pd
import folium
from datetime import datetime, timedelta
from pyinaturalist import (
    Observation,
    get_observations,
    get_projects_by_id,
    pprint,
)
import ipyplot
from itertools import compress

Download iNaturalist observations

From the end of May to the first week of June 2025

projects = get_projects_by_id([253831, 255314])
pprint(projects)
                                                                                                                   
  ID       Title                                         Type         URL                                          
 ━━━━━━━━━━━━━━━━━━━━━━━━━━━━━━━━━━━━━━━━━━━━━━━━━━━━━━━━━━━━━━━━━━━━━━━━━━━━━━━━━━━━━━━━━━━━━━━━━━━━━━━━━━━━━━━━━ 
  255314   Great Southern BioBlitz 2025: Cairns          collection   https://www.inaturalist.org/projects/255314  
  253831   Great Southern Bioblitz 2025: Great Barrier   collection   https://www.inaturalist.org/projects/253831  
           Reef                                                                                                    
                                                                                                                   
projects['results'][1].keys()

dict_keys(['id', 'title', 'hide_title', 'description', 'slug', 'project_type', 'delegated_project_id', 'is_delegated_umbrella', 'banner_color', 'place_id', 'user_id', 'admins', 'user_ids', 'location', 'icon', 'icon_file_name', 'header_image_url', 'header_image_file_name', 'header_image_contain', 'project_observation_fields', 'terms', 'search_parameters', 'project_observation_rules', 'rule_preferences', 'created_at', 'updated_at', 'flags', 'site_features', 'prefers_user_trust', 'observation_requirements_updated_at', 'is_umbrella', 'is_new_style_project', 'user'])
projects['results'][0]['project_observation_rules']

[
    {'id': 2252635, 'operator': 'observed_in_place?', 'operand_type': 'Place', 'operand_id': 176237},
    {'id': 2252636, 'operator': 'observed_in_place?', 'operand_type': 'Place', 'operand_id': 144285},
    {'id': 2252637, 'operator': 'observed_in_place?', 'operand_type': 'Place', 'operand_id': 193954},
    {'id': 2252638, 'operator': 'not_in_taxon?', 'operand_type': 'Taxon', 'operand_id': 118552},
    {'id': 2252639, 'operator': 'not_in_taxon?', 'operand_type': 'Taxon', 'operand_id': 47144},
    {'id': 2252640, 'operator': 'not_in_taxon?', 'operand_type': 'Taxon', 'operand_id': 43584}
]

Great Southern Bioblitz 2025: Great Barrier Reef

cairn_places=[x['operand_id'] for x in projects['results'][0]['project_observation_rules'] if x['operand_type']=='Place']
gbr_places=[x['operand_id'] for x in projects['results'][1]['project_observation_rules'] if x['operand_type']=='Place']
observations = get_observations(user_id='NeoMapas', 
                                d1="2025-10-23",
                                d2="2025-10-28",
                                per_page=1000)
len(observations)

4

Map of observations

map = folium.Map(tiles="Esri NatGeoWorldMap")
fg = folium.FeatureGroup(name="iNaturalist observations", control=True, attribution="observers @ iNaturalist").add_to(map)
popup_text = """<img src='{url}'>
<caption><i>{species}</i> observed on {observed_on} / {attribution}</caption> {desc}
   """
for obs in observations['results']:
    if obs['quality_grade'] == 'research':
        if obs['description'] is None:
            desc = ""
        else:
            desc = obs['description']
        pincolor = 'green'
    else:
        desc = "Observation is not research quality grade."
        pincolor = 'gray'
    fg.add_child(
        folium.Marker(
            location=obs['location'],
            popup=popup_text.format(
               species=obs['species_guess'],
                observed_on=obs['observed_on'],
                desc=desc,
               url = obs['observation_photos'][0]['photo']['url'],
               attribution = obs['observation_photos'][0]['photo']['attribution']),
            icon=folium.Icon(color=pincolor),
        )
      )
folium.LayerControl().add_to(map)

<folium.map.LayerControl object at 0x12a111730>
map.fit_bounds(map.get_bounds())
map

Make this Notebook Trusted to load map: File -> Trust Notebook

Travel log

records=list()
for obs in observations['results']:
    record = {
        'uuid': obs['uuid'],
        'quality': obs['quality_grade'],
        'description': obs['description'],
        'location': obs['place_guess'],
        'longitude': obs['location'][1],
        'latitude': obs['location'][0],
        'species guess': obs['species_guess'],
        'Fecha': obs['observed_on'],
        'Cairns_bioblitz': any([x in cairn_places for x in obs['place_ids']]),
        'GBR_bioblitz': any([x in gbr_places for x in obs['place_ids']])
    }
    if len(obs['observation_photos'])>0:
        record['url'] = obs['observation_photos'][0]['photo']['url']
        record['attribution'] = obs['observation_photos'][0]['photo']['attribution']
    records.append(record)
inat_obs=pd.DataFrame(records)
inat_obs["dia"]=inat_obs.Fecha.apply(datetime.date)
inat_obs.groupby(['dia', 'Cairns_bioblitz', 'GBR_bioblitz']).agg({'uuid': ['count',pd.Series.nunique], 'species guess': ['count',pd.Series.nunique]})

uuid species guess
count nunique count nunique
dia Cairns_bioblitz GBR_bioblitz
2025-10-24 True False 5 5 5 4
True 1 1 0 0
2025-10-25 False True 1 1 1 1
True False 2 2 2 2
True 55 55 48 36
2025-10-26 False False 33 33 30 27
2025-10-27 True True 30 30 28 22
my_observations = Observation.from_json_list(observations)
images = [obs.photos[0].small_url for obs in my_observations]
labels = [str(obs) for obs in my_observations]
[x in cairn_places for x in obs['place_ids']]

[False, False, False, False, False, False, False, False, True, False, True]

Arrival in Cairns - 24th October 2025

Explore observations on iNaturalist

s1 = [datetime.date(obs.observed_on).strftime('%d/%m/%Y') in ['24/10/2025',] for obs in my_observations]
s2 = [obs.Cairns_bioblitz for obs in my_observations]

any([x in cairn_places for x in obs['place_ids']])

ipyplot.plot_images(list(compress(images, s1 & s2)), list(compress(labels, ss)), max_images=60,)
---------------------------------------------------------------------------
AttributeError                            Traceback (most recent call last)
Cell In[45], line 2
      1 s1 = [datetime.date(obs.observed_on).strftime('%d/%m/%Y') in ['24/10/2025',] for obs in my_observations]
----> 2 s2 = [obs.Cairns_bioblitz for obs in my_observations]
      3 ipyplot.plot_images(list(compress(images, s1 & s2)), list(compress(labels, ss)), max_images=60,)

AttributeError: 'Observation' object has no attribute 'Cairns_bioblitz'

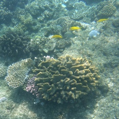
Fist day of bioblitzing: 25th October 2025

ss = [datetime.date(obs.observed_on).strftime('%Y-%m-%d') in ['2025-10-25'] for obs in my_observations]
ipyplot.plot_images(list(compress(images, ss)), list(compress(labels, ss)), max_images=60,)


Observation(id=324860381, taxon=Taxon(id=83884, full_name=Rhinecanthus aculeatus (Lagoon Triggerfish)), observed_on=Oct 25, 2025, username=neomapas, place_guess=Cairns - Trinity, AU-QL, AU)

https://inaturalist-open-data.s3.amazonaws.com/photos/588079750/small.jpg

Observation(id=324860352, taxon=Taxon(id=84175, full_name=Scarus ghobban (Blue-Barred Parrotfish)), observed_on=Oct 25, 2025, username=neomapas, place_guess=Cairns - Trinity, AU-QL, AU)

https://inaturalist-open-data.s3.amazonaws.com/photos/588079689/small.jpg

Observation(id=324860319, taxon=Taxon(id=83884, full_name=Rhinecanthus aculeatus (Lagoon Triggerfish)), observed_on=Oct 25, 2025, username=neomapas, place_guess=Cairns - Trinity, AU-QL, AU)

https://inaturalist-open-data.s3.amazonaws.com/photos/588079654/small.jpg

Observation(id=324860313, taxon=Taxon(id=202756, full_name=Subclass Hexacorallia (Hexacorallians)), observed_on=Oct 25, 2025, username=neomapas, place_guess=Cairns - Trinity, AU-QL, AU)

https://inaturalist-open-data.s3.amazonaws.com/photos/588079615/small.jpg

Observation(id=324860296, taxon=Taxon(id=68311, full_name=Genus Lentinus (Woodcaps And Sawgills)), observed_on=Oct 25, 2025, username=neomapas, place_guess=Cairns - Trinity, AU-QL, AU)

https://inaturalist-open-data.s3.amazonaws.com/photos/588079598/small.jpg

Observation(id=324860291, taxon=Taxon(id=202756, full_name=Subclass Hexacorallia (Hexacorallians)), observed_on=Oct 25, 2025, username=neomapas, place_guess=Cairns - Trinity, AU-QL, AU)

https://inaturalist-open-data.s3.amazonaws.com/photos/588079579/small.jpg

Observation(id=324860280, taxon=Taxon(id=48312, full_name=Genus Abudefduf (Sergeant Majors)), observed_on=Oct 25, 2025, username=neomapas, place_guess=Green Island, Cairns - Trinity, AU-QL, AU)

https://inaturalist-open-data.s3.amazonaws.com/photos/588079546/small.jpg

Observation(id=324860232, taxon=Taxon(id=63514, full_name=Synapta maculata (Snake Sea Cucumber)), observed_on=Oct 25, 2025, username=neomapas, place_guess=Green Island, Cairns - Trinity, AU-QL, AU)

https://inaturalist-open-data.s3.amazonaws.com/photos/588079473/small.jpg

Observation(id=324860206, taxon=Taxon(id=195195, full_name=Genus Calcinus), observed_on=Oct 25, 2025, username=neomapas, place_guess=Green Island, Cairns - Trinity, AU-QL, AU)

https://inaturalist-open-data.s3.amazonaws.com/photos/588079423/small.jpg

Observation(id=324860168, taxon=Taxon(id=354882, full_name=Calcinus laevimanus (Left-Handed Hermit Crab)), observed_on=Oct 25, 2025, username=neomapas, place_guess=Green Island, Cairns - Trinity, AU-QL, AU)

https://inaturalist-open-data.s3.amazonaws.com/photos/588079327/small.jpg

Observation(id=324860158, taxon=Taxon(id=489925, full_name=Dictyosphaeria versluysii (Hard Bubble Seaweed)), observed_on=Oct 25, 2025, username=neomapas, place_guess=Cairns - Trinity, AU-QL, AU)

https://inaturalist-open-data.s3.amazonaws.com/photos/588079318/small.jpg

Observation(id=324860137, taxon=Taxon(id=47296, full_name=Genus Lutjanus (Common Snappers)), observed_on=Oct 25, 2025, username=neomapas, place_guess=Cairns - Trinity, AU-QL, AU)

https://inaturalist-open-data.s3.amazonaws.com/photos/588079262/small.jpg

Observation(id=324860120, taxon=Taxon(id=63514, full_name=Synapta maculata (Snake Sea Cucumber)), observed_on=Oct 25, 2025, username=neomapas, place_guess=Cairns - Trinity, AU-QL, AU)

https://inaturalist-open-data.s3.amazonaws.com/photos/588079204/small.jpg

Observation(id=324860091, taxon=Taxon(id=84175, full_name=Scarus ghobban (Blue-Barred Parrotfish)), observed_on=Oct 25, 2025, username=neomapas, place_guess=Cairns - Trinity, AU-QL, AU)

https://inaturalist-open-data.s3.amazonaws.com/photos/588079150/small.jpg

Observation(id=324473203, taxon=Taxon(id=52462, full_name=Genus Tylosurus), observed_on=Oct 25, 2025, username=neomapas, place_guess=Cairns - Trinity, AU-QL, AU)

https://inaturalist-open-data.s3.amazonaws.com/photos/587292240/small.jpg

Observation(id=324473184, taxon=Taxon(id=39659, full_name=Chelonia mydas (Green Sea Turtle)), observed_on=Oct 25, 2025, username=neomapas, place_guess=Cairns - Trinity, AU-QL, AU)

https://inaturalist-open-data.s3.amazonaws.com/photos/587292211/small.jpg

Observation(id=324473174, taxon=Taxon(id=979701, full_name=Ducula spilorrhoa (Torresian Imperial Pigeon)), observed_on=Oct 25, 2025, username=neomapas, place_guess=Green Island, Cairns - Trinity, AU-QL, AU)

https://inaturalist-open-data.s3.amazonaws.com/photos/587292173/small.jpg

Observation(id=324473158, taxon=Taxon(id=1475917, full_name=Papilio capaneus (Capaneus Swallowtail)), observed_on=Oct 25, 2025, username=neomapas, place_guess=Cairns - Trinity, AU-QL, AU)

https://inaturalist-open-data.s3.amazonaws.com/photos/587292143/small.jpg

Observation(id=324473130, taxon=Taxon(id=113735, full_name=Taeniura lymma (Bluespotted Fantail Ray)), observed_on=Oct 25, 2025, username=neomapas, place_guess=Cairns - Trinity, AU-QL, AU)

https://inaturalist-open-data.s3.amazonaws.com/photos/587292098/small.jpg

Observation(id=324473059, taxon=Taxon(id=50591, full_name=Tridacna squamosa (Fluted Giant Clam)), observed_on=Oct 25, 2025, username=neomapas, place_guess=Cairns - Trinity, AU-QL, AU)

https://inaturalist-open-data.s3.amazonaws.com/photos/587292043/small.jpg

Observation(id=324473033, taxon=Taxon(id=47232, full_name=Family Carangidae (Jacks)), observed_on=Oct 25, 2025, username=neomapas, place_guess=Cairns - Trinity, AU-QL, AU)

https://inaturalist-open-data.s3.amazonaws.com/photos/587292005/small.jpg

Observation(id=324473013, taxon=Taxon(id=113735, full_name=Taeniura lymma (Bluespotted Fantail Ray)), observed_on=Oct 25, 2025, username=neomapas, place_guess=Cairns - Trinity, AU-QL, AU)

https://inaturalist-open-data.s3.amazonaws.com/photos/587291988/small.jpg

Observation(id=324472977, taxon=Taxon(id=49497, full_name=Genus Epinephelus), observed_on=Oct 25, 2025, username=neomapas, place_guess=Cairns - Trinity, AU-QL, AU)

https://inaturalist-open-data.s3.amazonaws.com/photos/587291970/small.jpg

Observation(id=324472941, taxon=Taxon(id=47532, full_name=Order Scleractinia (Stony Corals)), observed_on=Oct 25, 2025, username=neomapas, place_guess=Cairns - Trinity, AU-QL, AU)

https://inaturalist-open-data.s3.amazonaws.com/photos/587291951/small.jpg

Observation(id=324472924, taxon=Taxon(id=110020, full_name=Pomacanthus sexstriatus (Sixband Angelfish)), observed_on=Oct 25, 2025, username=neomapas, place_guess=Cairns - Trinity, AU-QL, AU)

https://inaturalist-open-data.s3.amazonaws.com/photos/587291904/small.jpg

Observation(id=324472917, taxon=Taxon(id=180751, full_name=Trachinotus blochii (Snubnose Dart)), observed_on=Oct 25, 2025, username=neomapas, place_guess=Cairns - Trinity, AU-QL, AU)

https://inaturalist-open-data.s3.amazonaws.com/photos/587291888/small.jpg

Observation(id=324472901, taxon=Taxon(id=337754, full_name=Abudefduf bengalensis (Bengal Sergeant)), observed_on=Oct 25, 2025, username=neomapas, place_guess=Cairns - Trinity, AU-QL, AU)

https://inaturalist-open-data.s3.amazonaws.com/photos/587291861/small.jpg

Observation(id=324472869, taxon=Taxon(id=52498, full_name=Scarus psittacus (Palenose Parrotfish)), observed_on=Oct 25, 2025, username=neomapas, place_guess=Cairns - Trinity, AU-QL, AU)

https://inaturalist-open-data.s3.amazonaws.com/photos/587291800/small.jpg

Observation(id=324472840, taxon=Taxon(id=67969, full_name=Subfamily Tridacninae (Giant Clams)), observed_on=Oct 25, 2025, username=neomapas, place_guess=Green Island, Cairns - Trinity, AU-QL, AU)

https://inaturalist-open-data.s3.amazonaws.com/photos/587291741/small.jpg

Observation(id=324472791, taxon=Taxon(id=47114, full_name=Class Gastropoda (Gastropods)), observed_on=Oct 25, 2025, username=neomapas, place_guess=Green Island, Cairns - Trinity, AU-QL, AU)

https://inaturalist-open-data.s3.amazonaws.com/photos/587291702/small.jpg

Observation(id=324472763, taxon=Taxon(id=84175, full_name=Scarus ghobban (Blue-Barred Parrotfish)), observed_on=Oct 25, 2025, username=neomapas, place_guess=Cairns - Trinity, AU-QL, AU)

https://inaturalist-open-data.s3.amazonaws.com/photos/587291660/small.jpg

Observation(id=324472739, taxon=Taxon(id=100130, full_name=Epinephelus quoyanus (Longfin Rockcod)), observed_on=Oct 25, 2025, username=neomapas, place_guess=Cairns - Trinity, AU-QL, AU)

https://inaturalist-open-data.s3.amazonaws.com/photos/587291590/small.jpg

Observation(id=324472727, taxon=Taxon(id=108975, full_name=Pavona decussata), observed_on=Oct 25, 2025, username=neomapas, place_guess=Queensland, AU)

https://inaturalist-open-data.s3.amazonaws.com/photos/587291554/small.jpg

Observation(id=324472714, taxon=Taxon(id=337754, full_name=Abudefduf bengalensis (Bengal Sergeant)), observed_on=Oct 25, 2025, username=neomapas, place_guess=Cairns - Trinity, AU-QL, AU)

https://inaturalist-open-data.s3.amazonaws.com/photos/587291528/small.jpg

Observation(id=324472656, taxon=Taxon(id=110020, full_name=Pomacanthus sexstriatus (Sixband Angelfish)), observed_on=Oct 25, 2025, username=neomapas, place_guess=Cairns - Trinity, AU-QL, AU)

https://inaturalist-open-data.s3.amazonaws.com/photos/587291464/small.jpg

Observation(id=324472626, taxon=Taxon(id=121658, full_name=Naso unicornis (Bluespine Unicornfish)), observed_on=Oct 25, 2025, username=neomapas, place_guess=Cairns - Trinity, AU-QL, AU)

https://inaturalist-open-data.s3.amazonaws.com/photos/587291441/small.jpg

Observation(id=324472597, taxon=Taxon(id=51412, full_name=Genus Trachinotus (Pompanos)), observed_on=Oct 25, 2025, username=neomapas, place_guess=Cairns - Trinity, AU-QL, AU)

https://inaturalist-open-data.s3.amazonaws.com/photos/587291383/small.jpg

Observation(id=324472580, taxon=Taxon(id=54661, full_name=Family Mugilidae (Mullets)), observed_on=Oct 25, 2025, username=neomapas, place_guess=Cairns - Trinity, AU-QL, AU)

https://inaturalist-open-data.s3.amazonaws.com/photos/587291350/small.jpg

Observation(id=324291963, taxon=Taxon(id=8078, full_name=Artamus leucorynchus (White-Breasted Woodswallow)), observed_on=Oct 25, 2025, username=neomapas, place_guess=blue lagoon resort, trinity beach)

https://inaturalist-open-data.s3.amazonaws.com/photos/586926654/small.jpg

Observation(id=324277549, taxon=Taxon(id=3610, full_name=Geopelia humeralis (Bar-Shouldered Dove)), observed_on=Oct 25, 2025, username=neomapas, place_guess=Cairns - Trinity, AU-QL, AU)

https://inaturalist-open-data.s3.amazonaws.com/photos/586899400/small.jpg

Observation(id=324277526, taxon=Taxon(id=370351, full_name=Microcarbo melanoleucos (Little Pied Cormorant)), observed_on=Oct 25, 2025, username=neomapas, place_guess=Blue lagoon resort Trinity)

https://inaturalist-open-data.s3.amazonaws.com/photos/586899374/small.jpg

Observation(id=324257281, taxon=Taxon(id=144507, full_name=Chroicocephalus novaehollandiae (Silver Gull)), observed_on=Oct 25, 2025, username=neomapas, place_guess=Cairns - Trinity, AU-QL, AU)

https://inaturalist-open-data.s3.amazonaws.com/photos/586861500/small.jpg

Observation(id=324257261, taxon=Taxon(id=1632273, full_name=Superorder Acanthomorpha (Spiny-Rayed Fishes)), observed_on=Oct 25, 2025, username=neomapas, place_guess=Cairns - Trinity, AU-QL, AU)

https://inaturalist-open-data.s3.amazonaws.com/photos/586861485/small.jpg

Observation(id=324257201, taxon=Taxon(id=368185, full_name=Jamides phaseli (Purple Cerulean)), observed_on=Oct 25, 2025, username=neomapas, place_guess=Cairns - Trinity, AU-QL, AU)

https://inaturalist-open-data.s3.amazonaws.com/photos/586861446/small.jpg

Observation(id=324257162, taxon=Taxon(id=2025, full_name=Megapodius reinwardt (Orange-Footed Scrubfowl)), observed_on=Oct 25, 2025, username=neomapas, place_guess=Cairns - Trinity, AU-QL, AU)

https://inaturalist-open-data.s3.amazonaws.com/photos/586861252/small.jpg

Observation(id=324257122, taxon=Taxon(id=401, full_name=Gallirallus philippensis (Buff-Banded Rail)), observed_on=Oct 25, 2025, username=neomapas, place_guess=Cairns - Trinity, AU-QL, AU)

https://inaturalist-open-data.s3.amazonaws.com/photos/586861173/small.jpg

Observation(id=324257083, taxon=Taxon(id=144507, full_name=Chroicocephalus novaehollandiae (Silver Gull)), observed_on=Oct 25, 2025, username=neomapas, place_guess=Cairns - Trinity, AU-QL, AU)

https://inaturalist-open-data.s3.amazonaws.com/photos/586861113/small.jpg

Observation(id=324148684, taxon=Taxon(id=11882, full_name=Hirundo neoxena (Welcome Swallow)), observed_on=Oct 25, 2025, username=neomapas, place_guess=Cairns - Trinity, AU-QL, AU)

https://inaturalist-open-data.s3.amazonaws.com/photos/586646899/small.jpg

Observation(id=324148675, taxon=Taxon(id=469557, full_name=Genus Chlorodesmis), observed_on=Oct 25, 2025, username=neomapas, place_guess=Cairns - Trinity, AU-QL, AU)

https://inaturalist-open-data.s3.amazonaws.com/photos/586646863/small.jpg

Observation(id=324148633, taxon=Taxon(id=57745, full_name=Linckia laevigata (Blue Linckia)), observed_on=Oct 25, 2025, username=neomapas, place_guess=Cairns - Trinity, AU-QL, AU)

https://inaturalist-open-data.s3.amazonaws.com/photos/586646813/small.jpg

Observation(id=324148613, taxon=Taxon(id=39659, full_name=Chelonia mydas (Green Sea Turtle)), observed_on=Oct 25, 2025, username=neomapas, place_guess=Cairns - Trinity, AU-QL, AU)

https://inaturalist-open-data.s3.amazonaws.com/photos/586646780/small.jpg

Observation(id=324148558, taxon=Taxon(id=144483, full_name=Esacus magnirostris (Beach Stone-Curlew)), observed_on=Oct 25, 2025, username=neomapas, place_guess=Green Island, Cairns - Trinity, AU-QL, AU)

https://inaturalist-open-data.s3.amazonaws.com/photos/586646711/small.jpg

Observation(id=324148497, taxon=Taxon(id=50345, full_name=Lutjanus carponotatus (Spanish Flag Snapper)), observed_on=Oct 25, 2025, username=neomapas, place_guess=Cairns - Trinity, AU-QL, AU)

https://inaturalist-open-data.s3.amazonaws.com/photos/586646650/small.jpg

Observation(id=324148457, taxon=Taxon(id=337754, full_name=Abudefduf bengalensis (Bengal Sergeant)), observed_on=Oct 25, 2025, username=neomapas, place_guess=Cairns - Trinity, AU-QL, AU)

https://inaturalist-open-data.s3.amazonaws.com/photos/586646589/small.jpg

Observation(id=324148420, taxon=Taxon(id=202756, full_name=Subclass Hexacorallia (Hexacorallians)), observed_on=Oct 25, 2025, username=neomapas, place_guess=Cairns - Trinity, AU-QL, AU)

https://inaturalist-open-data.s3.amazonaws.com/photos/586646496/small.jpg

Observation(id=324148405, taxon=Taxon(id=47178, full_name=Class Actinopterygii (Ray-Finned Fishes)), observed_on=Oct 25, 2025, username=neomapas, place_guess=Cairns - Trinity, AU-QL, AU)

https://inaturalist-open-data.s3.amazonaws.com/photos/586646463/small.jpg

Observation(id=324148376, taxon=Taxon(id=121674, full_name=Genus Parupeneus), observed_on=Oct 25, 2025, username=neomapas, place_guess=Cairns - Trinity, AU-QL, AU)

https://inaturalist-open-data.s3.amazonaws.com/photos/586646350/small.jpg

Observation(id=323791499, taxon=Taxon(id=39659, full_name=Chelonia mydas (Green Sea Turtle)), observed_on=Oct 25, 2025, username=neomapas, place_guess=Cairns - Trinity, Queensland, Australia)

https://inaturalist-open-data.s3.amazonaws.com/photos/585940005/small.jpg

Second day of bioblitzing: 26th October 2025


ss = [datetime.date(obs.observed_on).strftime('%Y-%m-%d') in ['2025-10-26'] for obs in my_observations]
ipyplot.plot_images(list(compress(images, ss)), list(compress(labels, ss)), max_images=60,)


Observation(id=324860674, taxon=Taxon(id=147458, full_name=Genus Bavia), observed_on=Oct 26, 2025, username=neomapas, place_guess=Douglas, AU-QL, AU)

https://inaturalist-open-data.s3.amazonaws.com/photos/588080359/small.jpg

Observation(id=324860660, taxon=Taxon(id=70037, full_name=Genus Sophora (Necklacepods)), observed_on=Oct 26, 2025, username=neomapas, place_guess=Douglas, AU-QL, AU)

https://inaturalist-open-data.s3.amazonaws.com/photos/588080322/small.jpg

Observation(id=324860647, taxon=Taxon(id=120489, full_name=Genus Sarcophaga (Common Flesh Flies)), observed_on=Oct 26, 2025, username=neomapas, place_guess=Douglas, AU-QL, AU)

https://inaturalist-open-data.s3.amazonaws.com/photos/588080264/small.jpg

Observation(id=324860633, taxon=Taxon(id=987744, full_name=Platycerium hillii (Elkhorn Fern)), observed_on=Oct 26, 2025, username=neomapas, place_guess=Douglas, AU-QL, AU)

https://inaturalist-open-data.s3.amazonaws.com/photos/588080211/small.jpg

Observation(id=324860628, taxon=Taxon(id=47170, full_name=Kingdom Fungi (Fungi Including Lichens)), observed_on=Oct 26, 2025, username=neomapas, place_guess=Douglas, AU-QL, AU)

https://inaturalist-open-data.s3.amazonaws.com/photos/588080190/small.jpg

Observation(id=324860600, taxon=Taxon(id=48475, full_name=Genus Ganoderma (Artist's Brackets, Reishi, And Allies)), observed_on=Oct 26, 2025, username=neomapas, place_guess=Douglas, AU-QL, AU)

https://inaturalist-open-data.s3.amazonaws.com/photos/588080144/small.jpg

Observation(id=324860588, taxon=Taxon(id=1134882, full_name=Parasesarma messa (Maroon Mangrove Crab)), observed_on=Oct 26, 2025, username=neomapas, place_guess=Douglas, AU-QL, AU)

https://inaturalist-open-data.s3.amazonaws.com/photos/588080115/small.jpg

Observation(id=324860578, taxon=Taxon(id=184314, full_name=Carallia brachiata (Carallia)), observed_on=Oct 26, 2025, username=neomapas, place_guess=Daintree, AU-QL-DG, AU-QL, AU)

https://inaturalist-open-data.s3.amazonaws.com/photos/588080087/small.jpg

Observation(id=324860553, taxon=Taxon(id=40870, full_name=Genus Pteropus (Flying-Foxes)), observed_on=Oct 26, 2025, username=neomapas, place_guess=Douglas, AU-QL, AU)

https://inaturalist-open-data.s3.amazonaws.com/photos/588080082/small.jpg

Observation(id=324860540, taxon=Taxon(id=73407, full_name=Sphecotheres vieilloti (Australasian Figbird)), observed_on=Oct 26, 2025, username=neomapas, place_guess=Douglas, AU-QL, AU)

https://inaturalist-open-data.s3.amazonaws.com/photos/588080023/small.jpg

Observation(id=324860499, taxon=Taxon(id=48891, full_name=Genus Hibiscus (Hibiscuses)), observed_on=Oct 26, 2025, username=neomapas, place_guess=Douglas, AU-QL, AU)

https://inaturalist-open-data.s3.amazonaws.com/photos/588079977/small.jpg

Observation(id=324860486, taxon=Taxon(id=121943, full_name=Class Polypodiopsida (Ferns)), observed_on=Oct 26, 2025, username=neomapas, place_guess=Douglas, AU-QL, AU)

https://inaturalist-open-data.s3.amazonaws.com/photos/588079942/small.jpg

Observation(id=324860464, taxon=Taxon(id=120489, full_name=Genus Sarcophaga (Common Flesh Flies)), observed_on=Oct 26, 2025, username=neomapas, place_guess=Daintree, AU-QL-DG, AU-QL, AU)

https://inaturalist-open-data.s3.amazonaws.com/photos/588079894/small.jpg

Observation(id=324860452, taxon=Taxon(id=47157, full_name=Order Lepidoptera (Butterflies And Moths)), observed_on=Oct 26, 2025, username=neomapas, place_guess=Daintree, AU-QL-DG, AU-QL, AU)

https://inaturalist-open-data.s3.amazonaws.com/photos/588079863/small.jpg

Observation(id=324860433, taxon=Taxon(id=342767, full_name=Zoosubsection Calyptratae (Calyptrate Flies)), observed_on=Oct 26, 2025, username=neomapas, place_guess=Daintree, AU-QL-DG, AU-QL, AU)

https://inaturalist-open-data.s3.amazonaws.com/photos/588079828/small.jpg

Observation(id=324860406, taxon=Taxon(id=369879, full_name=Drynaria rigidula (Basket Fern)), observed_on=Oct 26, 2025, username=neomapas, place_guess=Daintree, AU-QL-DG, AU-QL, AU)

https://inaturalist-open-data.s3.amazonaws.com/photos/588079792/small.jpg

Observation(id=324309254, taxon=Taxon(id=451755, full_name=Megacrania batesii (Peppermint Stick Insect)), observed_on=Oct 26, 2025, username=neomapas, place_guess=Douglas, AU-QL, AU)

https://inaturalist-open-data.s3.amazonaws.com/photos/586961245/small.jpg

Observation(id=324309230, taxon=Taxon(id=1505493, full_name=Melloria quoyi (Black Butcherbird)), observed_on=Oct 26, 2025, username=neomapas, place_guess=Douglas, AU-QL, AU)

https://inaturalist-open-data.s3.amazonaws.com/photos/586961164/small.jpg

Observation(id=324309224, taxon=Taxon(id=68390, full_name=Nephila pilipes (Giant Golden Orbweaver)), observed_on=Oct 26, 2025, username=neomapas, place_guess=Douglas, AU-QL, AU)

https://inaturalist-open-data.s3.amazonaws.com/photos/586961141/small.jpg

Observation(id=324309198, taxon=Taxon(id=7251, full_name=Order Passeriformes (Perching Birds)), observed_on=Oct 26, 2025, username=neomapas, place_guess=Douglas, AU-QL, AU)

https://inaturalist-open-data.s3.amazonaws.com/photos/586961068/small.jpg

Observation(id=324309174, taxon=Taxon(id=67438, full_name=Papilio ulysses (Ulysses Butterfly)), observed_on=Oct 26, 2025, username=neomapas, place_guess=Douglas, AU-QL, AU)

https://inaturalist-open-data.s3.amazonaws.com/photos/586960989/small.jpg

Observation(id=324309162, taxon=Taxon(id=37247, full_name=Genus Carlia (Rainbow Skinks)), observed_on=Oct 26, 2025, username=neomapas, place_guess=Douglas, AU-QL, AU)

https://inaturalist-open-data.s3.amazonaws.com/photos/586960961/small.jpg

Observation(id=324277659, taxon=Taxon(id=464825, full_name=Hygropoda lineata (Northern Lined Hygropoda)), observed_on=Oct 26, 2025, username=neomapas, place_guess=Daintree, AU-QL-DG, AU-QL, AU)

https://inaturalist-open-data.s3.amazonaws.com/photos/586899573/small.jpg

Observation(id=324277629, taxon=Taxon(id=60338, full_name=Genus Rhizophora (True Mangroves)), observed_on=Oct 26, 2025, username=neomapas, place_guess=Douglas, AU-QL, AU)

https://inaturalist-open-data.s3.amazonaws.com/photos/586899493/small.jpg

Observation(id=324277603, taxon=Taxon(id=135370, full_name=Crinum pedunculatum (Mangrove Lily)), observed_on=Oct 26, 2025, username=neomapas, place_guess=Douglas, AU-QL, AU)

https://inaturalist-open-data.s3.amazonaws.com/photos/586899457/small.jpg

Observation(id=324146373, taxon=Taxon(id=60338, full_name=Genus Rhizophora (True Mangroves)), observed_on=Oct 26, 2025, username=neomapas, place_guess=Douglas, AU-QL, AU)

https://inaturalist-open-data.s3.amazonaws.com/photos/586642378/small.jpg

Observation(id=324146341, taxon=Taxon(id=135370, full_name=Crinum pedunculatum (Mangrove Lily)), observed_on=Oct 26, 2025, username=neomapas, place_guess=Douglas, AU-QL, AU)

https://inaturalist-open-data.s3.amazonaws.com/photos/586642283/small.jpg

Observation(id=324146311, taxon=Taxon(id=144455, full_name=Ardea alba (Great Egret)), observed_on=Oct 26, 2025, username=neomapas, place_guess=Douglas, AU-QL, AU)

https://inaturalist-open-data.s3.amazonaws.com/photos/586642253/small.jpg

Observation(id=324146273, taxon=Taxon(id=26068, full_name=Crocodylus porosus (Saltwater Crocodile)), observed_on=Oct 26, 2025, username=neomapas, place_guess=Douglas, AU-QL, AU)

https://inaturalist-open-data.s3.amazonaws.com/photos/586642108/small.jpg

Observation(id=324146253, taxon=Taxon(id=4872, full_name=Vanellus miles (Masked Lapwing)), observed_on=Oct 26, 2025, username=neomapas, place_guess=Douglas, AU-QL, AU)

https://inaturalist-open-data.s3.amazonaws.com/photos/586642048/small.jpg

Observation(id=324146198, taxon=Taxon(id=516210, full_name=Cerbera floribunda (Cassowary Plum)), observed_on=Oct 26, 2025, username=neomapas, place_guess=Douglas, AU-QL, AU)

https://inaturalist-open-data.s3.amazonaws.com/photos/586641983/small.jpg

Observation(id=324146167, taxon=Taxon(id=369693, full_name=Freycinetia scandens (Climbing Pandanus)), observed_on=Oct 26, 2025, username=neomapas, place_guess=Douglas, AU-QL, AU)

https://inaturalist-open-data.s3.amazonaws.com/photos/586641870/small.jpg

Observation(id=324146144, taxon=Taxon(id=51584, full_name=Melanitis leda (Common Evening Brown)), observed_on=Oct 26, 2025, username=neomapas, place_guess=Douglas, AU-QL, AU)

https://inaturalist-open-data.s3.amazonaws.com/photos/586641816/small.jpg

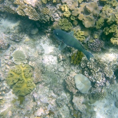
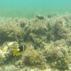
Last day of bioblitzing: 27th October 2025


ss = [datetime.date(obs.observed_on).strftime('%Y-%m-%d') in ['2025-10-27'] for obs in my_observations]
ipyplot.plot_images(list(compress(images, ss)), list(compress(labels, ss)), max_images=60,)


Observation(id=324860840, taxon=Taxon(id=155098, full_name=Genus Sarcophyton (Toadstool Leather Corals)), observed_on=Oct 27, 2025, username=neomapas, place_guess=None)

https://inaturalist-open-data.s3.amazonaws.com/photos/588080818/small.jpg

Observation(id=324860821, taxon=Taxon(id=68023, full_name=Genus Caesio), observed_on=Oct 27, 2025, username=neomapas, place_guess=None)

https://inaturalist-open-data.s3.amazonaws.com/photos/588080740/small.jpg

Observation(id=324860813, taxon=Taxon(id=68023, full_name=Genus Caesio), observed_on=Oct 27, 2025, username=neomapas, place_guess=None)

https://inaturalist-open-data.s3.amazonaws.com/photos/588080700/small.jpg

Observation(id=324860785, taxon=Taxon(id=49284, full_name=Family Labridae (Wrasses And Parrotfishes)), observed_on=Oct 27, 2025, username=neomapas, place_guess=None)

https://inaturalist-open-data.s3.amazonaws.com/photos/588080648/small.jpg

Observation(id=324860759, taxon=Taxon(id=49932, full_name=Genus Chlorurus), observed_on=Oct 27, 2025, username=neomapas, place_guess=None)

https://inaturalist-open-data.s3.amazonaws.com/photos/588080604/small.jpg

Observation(id=324860750, taxon=Taxon(id=187233, full_name=Chlorurus spilurus (Pacific Bullethead Parrotfish)), observed_on=Oct 27, 2025, username=neomapas, place_guess=None)

https://inaturalist-open-data.s3.amazonaws.com/photos/588080521/small.jpg

Observation(id=324860738, taxon=Taxon(id=88193, full_name=Genus Epibulus), observed_on=Oct 27, 2025, username=neomapas, place_guess=None)

https://inaturalist-open-data.s3.amazonaws.com/photos/588080484/small.jpg

Observation(id=324860719, taxon=Taxon(id=49693, full_name=Genus Scarus), observed_on=Oct 27, 2025, username=neomapas, place_guess=None)

https://inaturalist-open-data.s3.amazonaws.com/photos/588080472/small.jpg

Observation(id=324860689, taxon=Taxon(id=187233, full_name=Chlorurus spilurus (Pacific Bullethead Parrotfish)), observed_on=Oct 27, 2025, username=neomapas, place_guess=None)

https://inaturalist-open-data.s3.amazonaws.com/photos/588080411/small.jpg

Observation(id=324473290, taxon=Taxon(id=110020, full_name=Pomacanthus sexstriatus (Sixband Angelfish)), observed_on=Oct 27, 2025, username=neomapas, place_guess=None)

https://inaturalist-open-data.s3.amazonaws.com/photos/587292441/small.jpg

Observation(id=324473269, taxon=Taxon(id=187233, full_name=Chlorurus spilurus (Pacific Bullethead Parrotfish)), observed_on=Oct 27, 2025, username=neomapas, place_guess=None)

https://inaturalist-open-data.s3.amazonaws.com/photos/587292404/small.jpg

Observation(id=324473240, taxon=Taxon(id=67963, full_name=Thalassoma hardwicke (Sixbar Wrasse)), observed_on=Oct 27, 2025, username=neomapas, place_guess=None)

https://inaturalist-open-data.s3.amazonaws.com/photos/587292331/small.jpg

Observation(id=324473229, taxon=Taxon(id=347297, full_name=Actinopyga varians (Pacific White-Spotted Sea Cucumber)), observed_on=Oct 27, 2025, username=neomapas, place_guess=None)

https://inaturalist-open-data.s3.amazonaws.com/photos/587292309/small.jpg

Observation(id=324473215, taxon=Taxon(id=47178, full_name=Class Actinopterygii (Ray-Finned Fishes)), observed_on=Oct 27, 2025, username=neomapas, place_guess=None)

https://inaturalist-open-data.s3.amazonaws.com/photos/587292264/small.jpg

Observation(id=324309340, taxon=Taxon(id=1632273, full_name=Superorder Acanthomorpha (Spiny-Rayed Fishes)), observed_on=Oct 27, 2025, username=neomapas, place_guess=None)

https://inaturalist-open-data.s3.amazonaws.com/photos/586961432/small.jpg

Observation(id=324309325, taxon=Taxon(id=47178, full_name=Class Actinopterygii (Ray-Finned Fishes)), observed_on=Oct 27, 2025, username=neomapas, place_guess=None)

https://inaturalist-open-data.s3.amazonaws.com/photos/586961342/small.jpg

Observation(id=324291992, taxon=Taxon(id=1303726, full_name=Order Acanthuriformes (Butterflyfishes, Angelfishes, And Allies)), observed_on=Oct 27, 2025, username=neomapas, place_guess=None)

https://inaturalist-open-data.s3.amazonaws.com/photos/586926732/small.jpg

Observation(id=324291981, taxon=Taxon(id=52508, full_name=Gomphosus varius (Bird Wrasse)), observed_on=Oct 27, 2025, username=neomapas, place_guess=None)

https://inaturalist-open-data.s3.amazonaws.com/photos/586926686/small.jpg

Observation(id=324291976, taxon=Taxon(id=48745, full_name=Genus Acropora (Table, Elkhorn, And Staghorn Corals)), observed_on=Oct 27, 2025, username=neomapas, place_guess=None)

https://inaturalist-open-data.s3.amazonaws.com/photos/586926670/small.jpg

Observation(id=324277695, taxon=Taxon(id=144323, full_name=Genus Onychoprion (Brown-Backed Terns)), observed_on=Oct 27, 2025, username=neomapas, place_guess=None)

https://inaturalist-open-data.s3.amazonaws.com/photos/586899627/small.jpg

Observation(id=324256346, taxon=Taxon(id=100036, full_name=Epibulus insidiator (Slingjaw Wrasse)), observed_on=Oct 27, 2025, username=neomapas, place_guess=None)

https://inaturalist-open-data.s3.amazonaws.com/photos/586859974/small.jpg

Observation(id=324256316, taxon=Taxon(id=82355, full_name=Cheilinus undulatus (Napoleon Wrasse)), observed_on=Oct 27, 2025, username=neomapas, place_guess=None)

https://inaturalist-open-data.s3.amazonaws.com/photos/586859825/small.jpg

Observation(id=324256280, taxon=Taxon(id=69860, full_name=Genus Platax (Spadefishes)), observed_on=Oct 27, 2025, username=neomapas, place_guess=None)

https://inaturalist-open-data.s3.amazonaws.com/photos/586859779/small.jpg

Observation(id=324256250, taxon=Taxon(id=85777, full_name=Family Exocoetidae (Flyingfishes)), observed_on=Oct 27, 2025, username=neomapas, place_guess=None)

https://inaturalist-open-data.s3.amazonaws.com/photos/586859738/small.jpg

Observation(id=324256230, taxon=Taxon(id=85777, full_name=Family Exocoetidae (Flyingfishes)), observed_on=Oct 27, 2025, username=neomapas, place_guess=None)

https://inaturalist-open-data.s3.amazonaws.com/photos/586859683/small.jpg

Observation(id=324251447, taxon=Taxon(id=68023, full_name=Genus Caesio), observed_on=Oct 27, 2025, username=neomapas, place_guess=None)

https://inaturalist-open-data.s3.amazonaws.com/photos/586849451/small.jpg

Observation(id=324251422, taxon=Taxon(id=135283, full_name=Acanthurus lineatus (Striped Surgeonfish)), observed_on=Oct 27, 2025, username=neomapas, place_guess=None)

https://inaturalist-open-data.s3.amazonaws.com/photos/586849356/small.jpg

Observation(id=324251375, taxon=Taxon(id=142704, full_name=Lutjanus gibbus (Humpback Snapper)), observed_on=Oct 27, 2025, username=neomapas, place_guess=None)

https://inaturalist-open-data.s3.amazonaws.com/photos/586849254/small.jpg

Observation(id=324147999, taxon=Taxon(id=83290, full_name=Zanclus cornutus (Moorish Idol)), observed_on=Oct 27, 2025, username=neomapas, place_guess=None)

https://inaturalist-open-data.s3.amazonaws.com/photos/586645608/small.jpg

Observation(id=324147955, taxon=Taxon(id=144323, full_name=Genus Onychoprion (Brown-Backed Terns)), observed_on=Oct 27, 2025, username=neomapas, place_guess=None)

https://inaturalist-open-data.s3.amazonaws.com/photos/586645558/small.jpg